おさかなマラソンお持ち込み!!
釣行日2025年09月06日
天気晴れ
店舗一宮店
338 ビュー
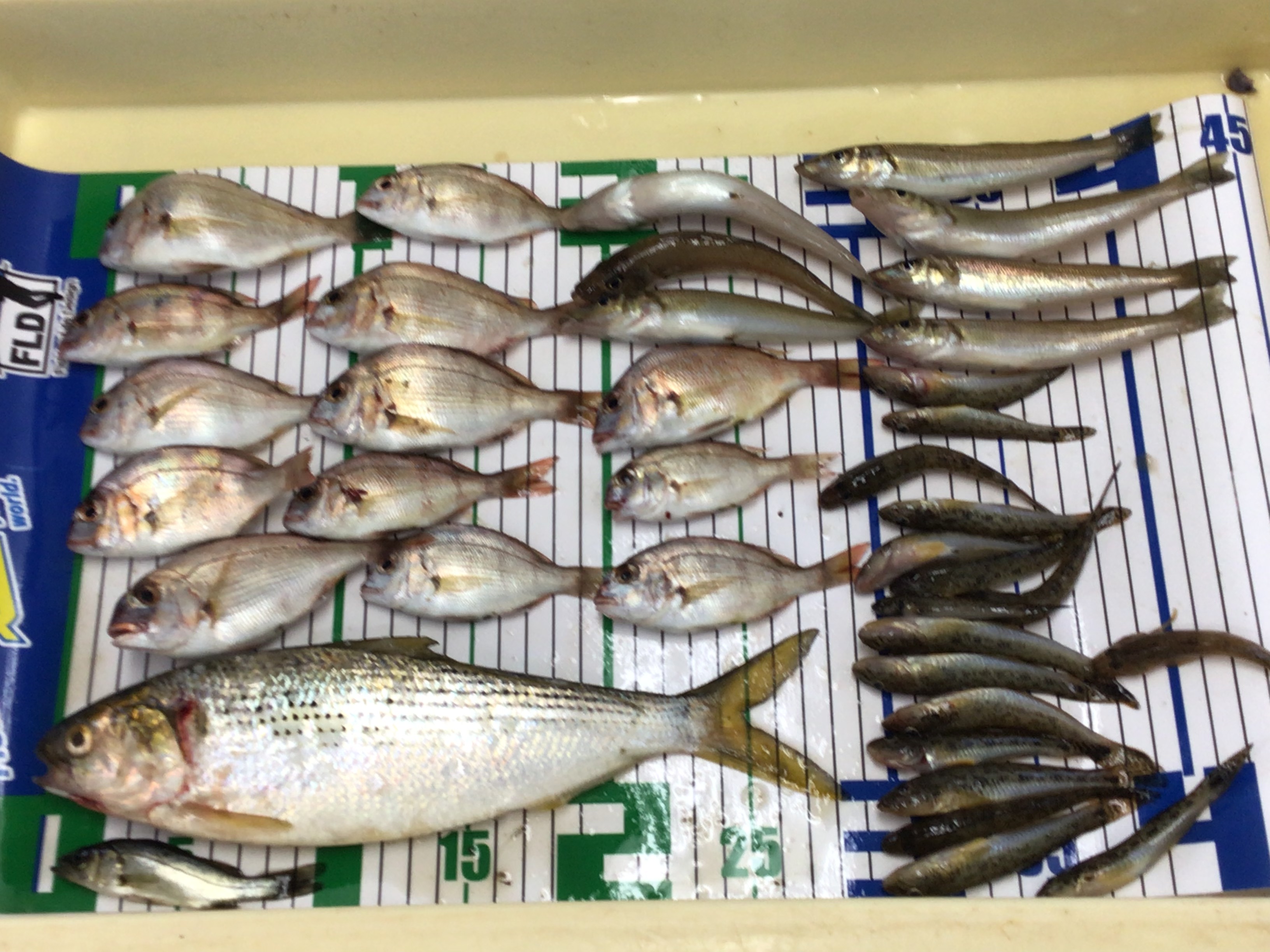
おさかなマラソンお持ち込みありました!!りんくう釣り護岸で投げ釣りをされてきたそうです!!
大漁ですね!!コノシロ立派です!!おめでとうございます!!またお持ち込みお待ちしております!!
このような記事も人気です!
2月14日 片岡広時様
釣行日:2026年02月14日
伊勢店
お魚マラソンお持ち込みありがとうございます❣️
釣行日:2026年03月01日
三重県 桑名店
おさかなマラソン持ち込みいただきました!
釣行日:2026年02月28日
2月20日 伊藤エナ様
釣行日:2026年02月20日
2月19日 水口様
釣行日:2026年02月19日
四日市店
おさかなマラソンお持ち込みいただきました!
釣行日:2026年02月22日
静岡池田店
ふぃしゅーなで二人でマイワシ240匹!!
釣行日:2026年02月21日
焼津街道店 静岡県
出勤前に朝活inふぃしゅーな2日目
この店舗のブログ
愛知最速開催!
超お得!!!豊橋店にて遊得市開催中!
フィッシング遊40周年特別企画開催中!
今年も鮎まつり開催します!
3月28日【土】は宅配のめがめやさん来店イベント!
【アラバマシーバス】詳しい釣り方についてご紹介!
ガラガラ抽選会開催のお知らせ
創業40周年記念・ゴールデンウィークガラガラ大抽選会の抽選券配布スタート!