

![]()
10月13日 湯浅敦史様
釣行日2023年10月13日
天気快晴
店舗
685 ビュー
【使用タックル・当日の状況】
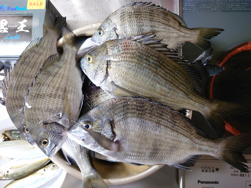
今年二回目の堂の浦釣行。かかり釣りははじめての父をレクチャーしながらの釣りで
した。
一投目から本命のチヌをGET!10cmぐらいしかなかったのでもちろんリリース。
今日はエサトリはゴンズイ、クサフグが多く、かなり掛かりました(なぜかチャリコ
はまったくいませんでした)。
エサトリ対策に練り餌をメインで使用し、35cmを頭に13枚、本命のチヌを釣り上げる
ことができました。父はなんとか1枚釣ることができました。練り餌を使った釣りの
練
習になりましたが、オキアミでも釣れました。
外道のボラは70cm以上あり強烈な引きでしたが、45cm級のヘダイ(2枚、リリース)も
とんでもない引きでした!
秋の堂の浦の数釣り、じゅうぶん楽しむことができました。
【使用タックルなど】筏竿1.8m、ファンツール黒王ライト、1.5号ライン、チヌ針1号
から3号。ガン玉Bから2B。
渡船店オリジナルダンゴ。刺しエサはオキアミ生と練り餌を交互に使用。
このような記事も人気です!