

![]()
宮川チニングで今年初のチヌゲット!
釣行日2025年06月02日
天気小雨
店舗松阪店
758 ビュー
5月から結構通ってたけど、釣れずにいた宮川チニングに今日も行ってきました。
仕事終わりにポイントへ。小雨でしたが止む予報だったので早速開始。上げ終わりからの満潮潮止まりのタイミングだったので流れが緩く、どうかなと思いましたがすぐにアタリあり!これは期待できる!
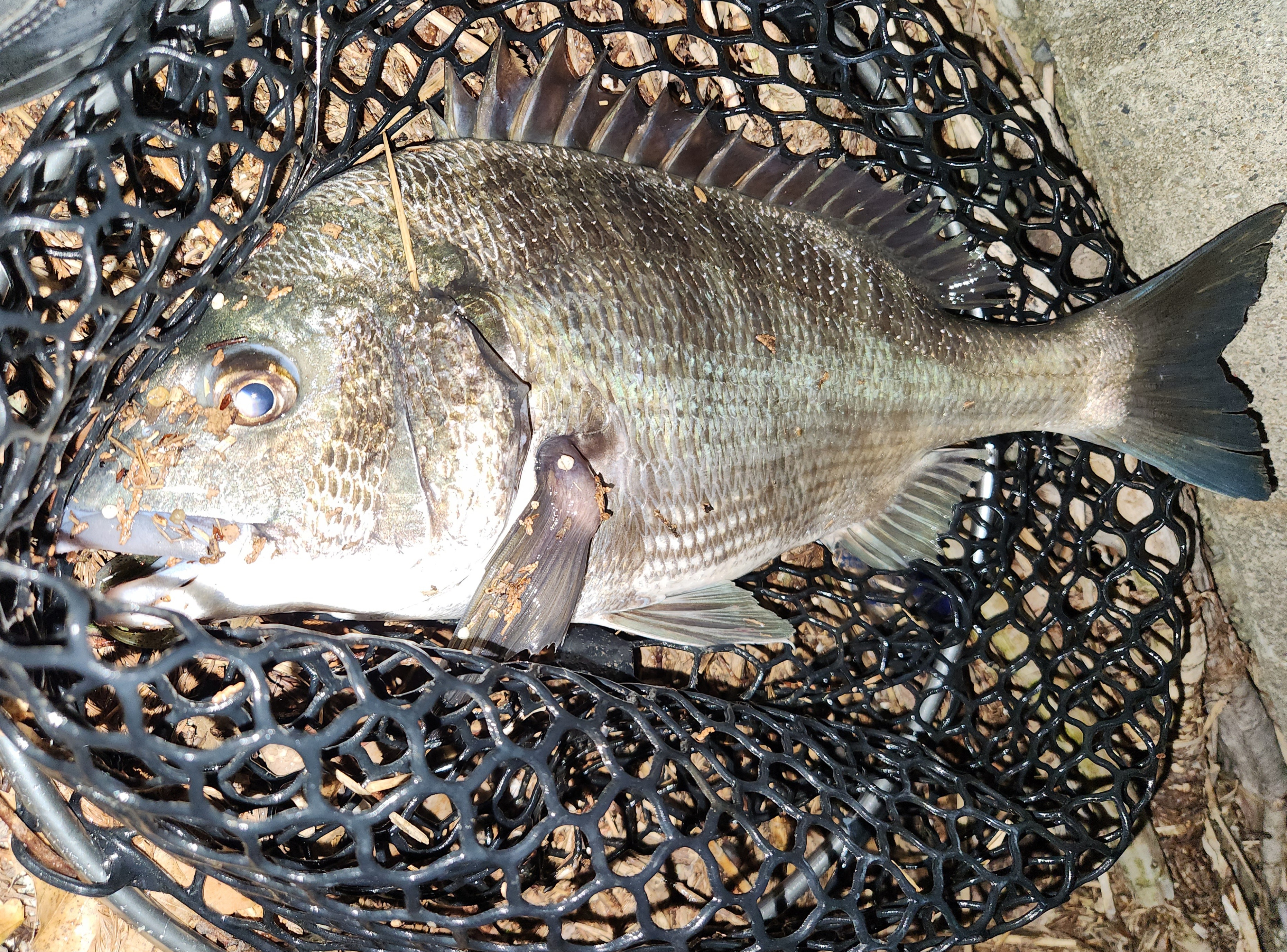
使用したリグはフリーリグでシンカーはタングステンの10g。底をゆっくりずる引きして、根に軽くスタックしたのを外しては巻いてを繰り返していると外した瞬間に生命感!すぐにラインを張ってきいてみるとグンと引っ張られたのでスイープに合わせるとヒット!めちゃくちゃ引いて気持ちよくドラグを出しながら右に左に走ります!なんとかいなして寄せてみるとガッツリかかっているので楽々ネットイン!40cmオーバーのチヌでした!
ようやく釣れて嬉しい!ヒットワームは宮川チニングのド定番!ケイテックさん「クレイジーフラッパー2.8インチ」でした!これから本格的にシーズンインする宮川チニングに是非チャレンジしてみてください!
このような記事も人気です!
この店舗のブログ