

![]()
【尾鷲 立神の奥の院】連日好調!細ハリスで喰わせる!in大ちゃん渡船
釣行日2025年11月18日
天気晴れ
店舗鈴鹿店
210 ビュー
☏「尾鷲好調やで 50も上がっとるで」
まじですか。行きます!ってことで急遽尾鷲に行ってきました!
朝一は最近流行りの遠投全遊道スタイルでスタート!
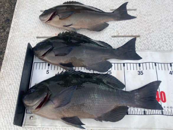
左に流れる神潮で口太ゲット! エサ取りはコッパのみで釣りやすい!
撒き餌が効きだし、尾長フィーバー開始!ですが、見事に手前でチモト切れ連発。
良型に7発飛ばされ時合終了。細ハリス何で1枚釣れたらと思ってましたが・・・まだまだ修行が足りません。
そこからは竿2~4本までの範囲で口太と戯れ、40upもゲット!
同じところを沈めで狙うと、ウキが入ると同時にラインがバンバンバンと弾かれ続け、いやグレじゃないな~と強引にファイトを開始!
そろそろかな。え!グレやんけ! 急いでタモ入れ準備しますが、最後の突込みでハリス切れ。焦ってタモ入れしようとしたのが敗因です。
50㎝はあったなって話すと、数日前にここで50が上がってたそうです。
アタリ連発で楽しい1日でした!
このような記事も人気です!
この店舗のブログ