

![]()
【紀伊長島/一栄丸渡船様】時は来た‼︎時合いを捉えデカ寒グレ乱舞‼︎
釣行日2026年01月16日
天気晴れ
店舗鈴鹿店
364 ビュー
前日に急遽決まり中1日と言う超ハイペースでの磯釣りへ‼︎今回は、紀伊長島の一栄丸渡船様https://ichieimarutosen.com/fishing/6597/にお世話になりました‼︎
6時半出船で上手周りの「八ノ瀬ハナレ」へ渡礁‼︎
沖向き西側の竿一本までの磯際を丁寧に探るとウキをスゥーっと引き込むアタリ‼︎合わせを入れると手前の磯際に突っ込まれなんとか交わすもさらに沖のシモリに入られ万事休す。
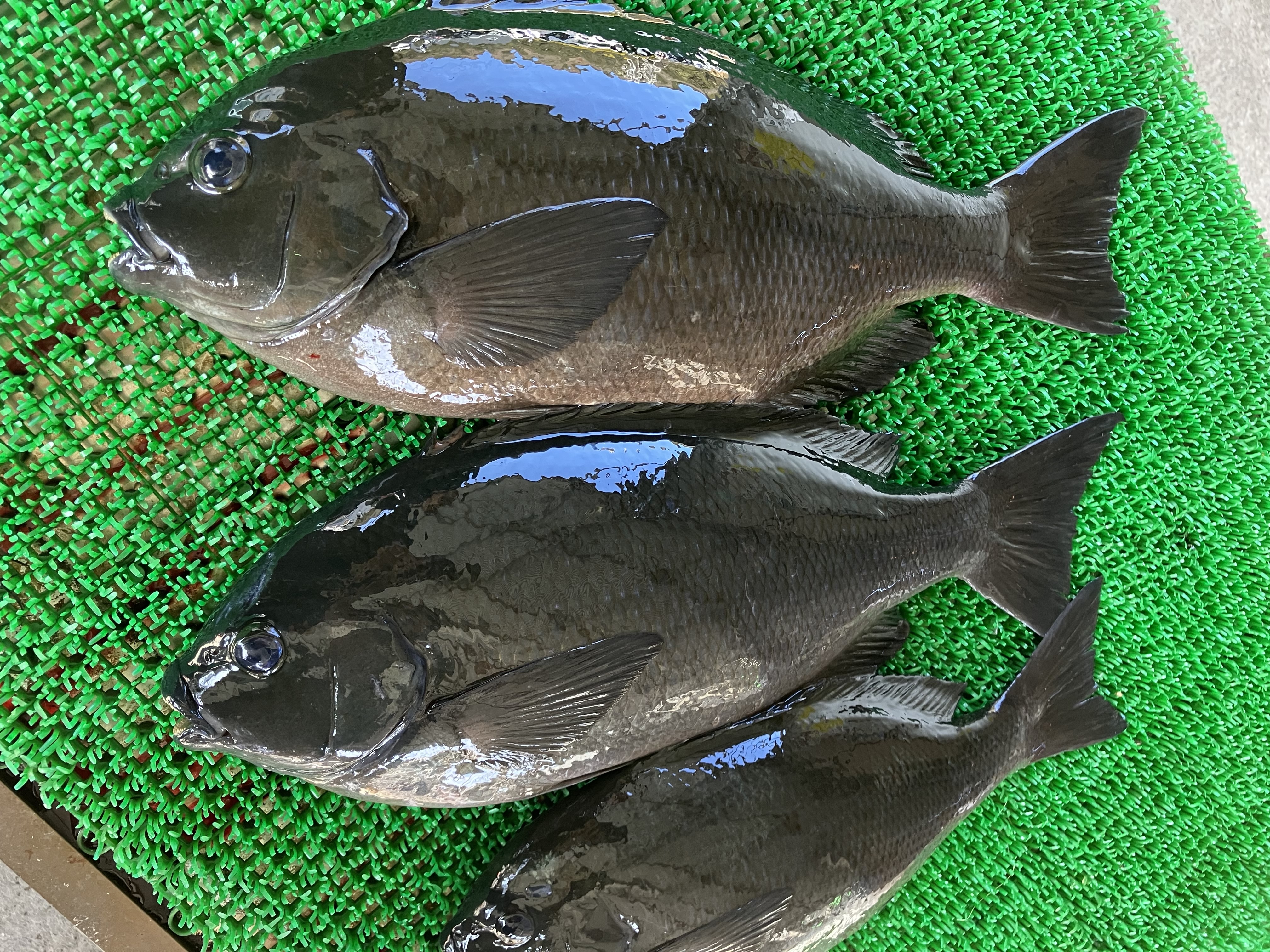
時間をかけてゆっくり引き出すと46㎝のデカグレ捕獲‼︎
さらに竿一本程沖のシモリ周りを攻めるとアタリ‼︎先程よりトルクフルな引きで竿を絞り込んだのは47㎝の素晴らしい魚体‼︎
ここから渋い時間が続き、一発根に潜られてバラした後38㎝を追加し終了でした‼︎
とにかく今寒グレシーズン真っ只中‼︎今年は明らかにデカい口太グレが多くチャンス到来中です!!是非チャレンジしてみて下さい!
【使用タックル】
ロッド・・・がまかつ/スーパープレシード1.5-53
リール・・・BB-Xテクニウムc3000DXG
道糸・・・サンライン/グレ道1.75号
ハリス・・・サンライン/Vハード2号
ウキ・・・キザクラ/サイナスパンサー0全誘導
針・・・がまかつ/ボイルグレ7号
このような記事も人気です!
この店舗のブログ